테슬라가 세계 최대 규모의 슈퍼차저 스테이션 건설에 나선다. 캘리포니아주 요르모(Yermo) 지역에 충전 스톨 400개 이상을 갖춘 초대형 충전 단지를 조성한다는 계획으로, 현재 세계 최대 규모인 캘리포니아 로스트힐스의 ‘프로젝트 오아시스(164스톨)’를 두 배 이상 뛰어넘는다.
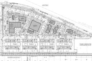
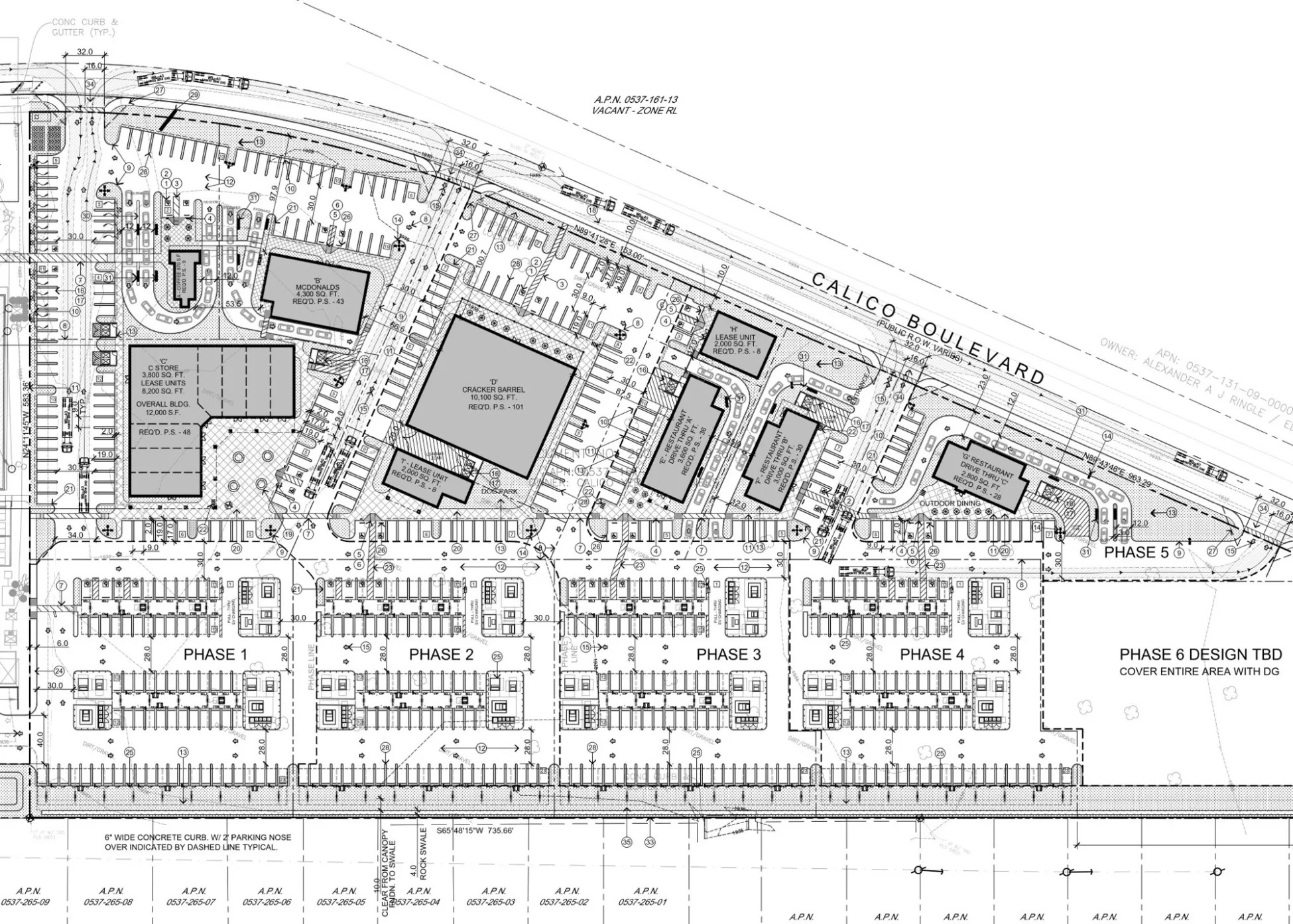
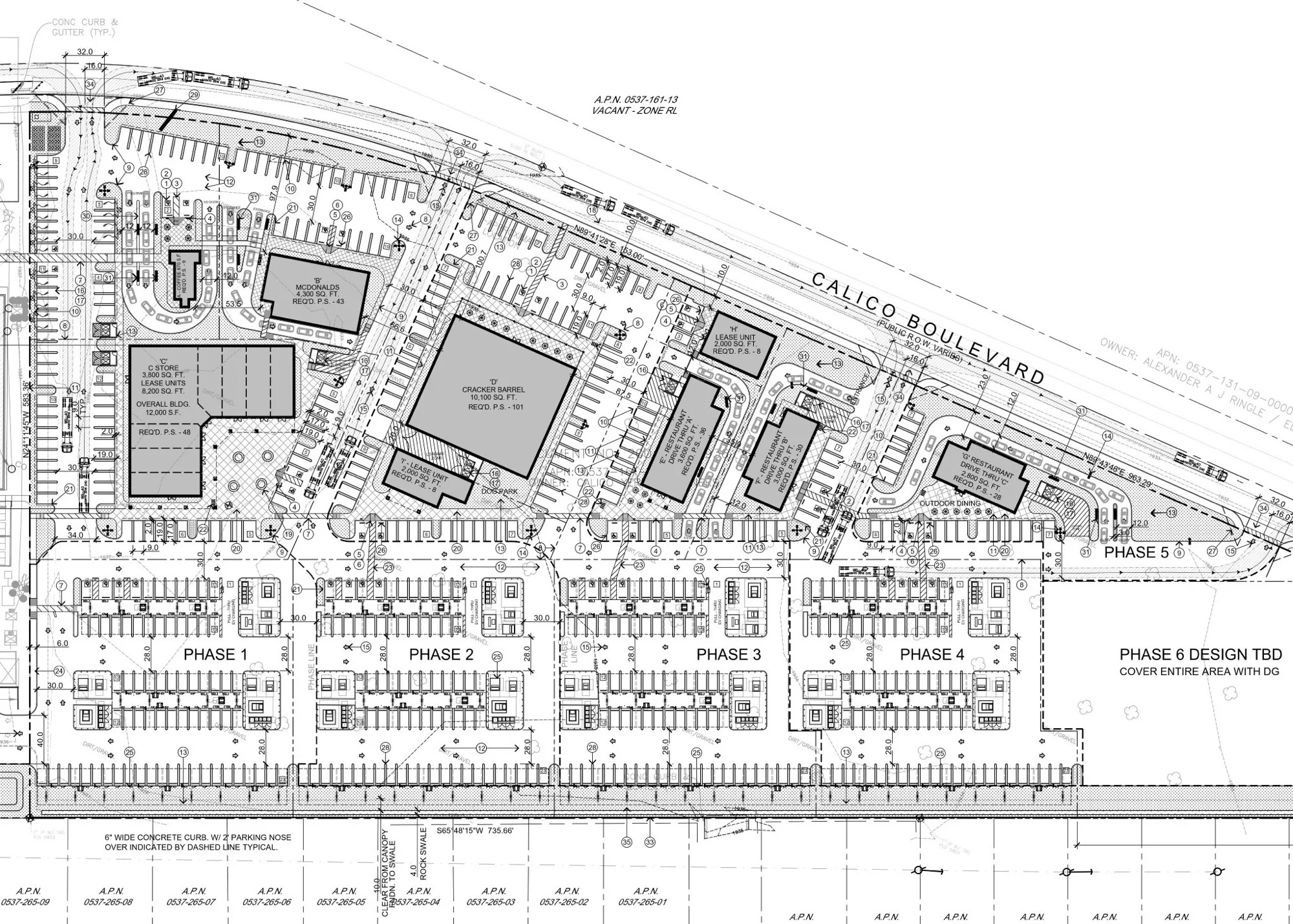
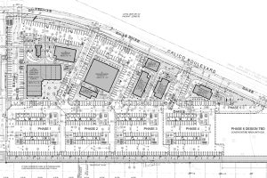
허가 서류를 통해 이 계획을 처음 공개한 건 테슬라 슈퍼차저 동향을 추적해 온 X(구 트위터) 계정 MarcoRP다. 서류에 따르면 신규 충전 단지는 ‘에디 월드 2(Eddie World 2)’라는 복합 상업 시설 개발의 일환으로, 현재 22기의 구형 V2·V3 슈퍼차저가 운영 중인 기존 에디 월드 부지에 인접해 건설된다. 에디 월드는 LA와 라스베이거스를 잇는 인터스테이트 15번 고속도로 상에 위치한 대표적인 전기차 충전 경유지로, 이미 많은 테슬라 운전자에게 친숙한 이름이다.
전체 사업은 6단계로 나뉘어 순차 진행된다. 올해 착공 예정인 1단계에서 V4 슈퍼차저 72기를 먼저 설치하고, 이후 2~5단계에 걸쳐 칼리코 블러바드(Calico Boulevard) 일대에 충전 공간을 단계적으로 확장해 총 400기 이상을 완성하는 방식이다. 6단계 설계는 아직 확정되지 않았다.
전 구획에 테슬라의 최신 V4 슈퍼차저를 도입한다는 점도 주목할 부분이다. V4는 기존 모델보다 출력이 높고 케이블 길이가 길어 충전 포트 위치가 다양한 타사 전기차도 수용할 수 있다. 테슬라가 북미 충전 표준(NACS)을 개방하면서 포드·GM 등 타 브랜드 전기차도 슈퍼차저망을 이용하고 있는 상황에서, V4 확대는 사실상 전 차종 대응 인프라 구축으로 이어진다. 또한 부지 계획에는 사이버트럭이나 테슬라 세미 같은 대형 차량과 트레일러를 위한 풀스루(pull-through) 충전 베이도 포함돼 있어, 전기 화물차 운송에도 대응하겠다는 의지가 담겼다.
현재 이 지역 반경 32km 내에는 250kW급 40기, 325kW급 120기 등 200기 이상의 고출력 충전기가 이미 가동 중이다. 그러나 연휴나 라스베이거스 대형 행사 기간에는 대기 행렬이 끊이지 않는 게 현실이다. 400기 규모의 단일 허브가 완성되면 이 구간의 충전 병목 현상을 실질적으로 해소할 수 있다는 분석이 나온다.
단순 충전 시설에 그치지 않고 크래커 배럴, 맥도날드 등 식음료 시설과 편의점, 드라이브스루, 야외 다이닝 공간, 상업 임대 공간을 통합한 복합 거점으로 조성된다는 점도 특징이다. 고속도로 휴게소 개념을 전기차 시대에 맞게 재해석한 형태로, 일각에서는 테슬라 로보택시가 LA-라스베이거스 노선을 운행할 경우 핵심 거점이 될 수 있다는 전망도 나온다.



